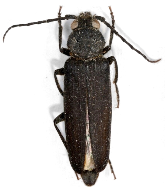
Arhopalus asperatus Spondylidinae  Asemini
Arhopalus asperatus (LeConte, 1859)
female, California, USA

Distribution:
Canada, w USA, Mexico, Honduras