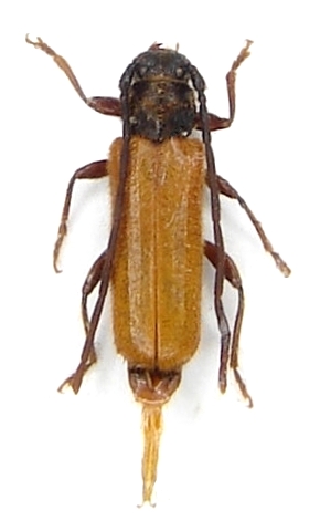
Anisarthron barbipes Spondylidinae  Anisarthrini
Anisarthron barbipes (Schrank, 1781)
female, slovakia

Distribution:
Germany, Poland, Czech Republic, Slovakia, Switzerland, Austria, n Italy, Croatia, Serbia, Bosnia Herzegovina, Montenegro, Hungary, Bulgaria, Romania, Ukraine