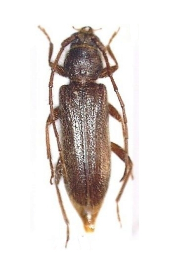
Gelonaetha hirta Cerambycinae  Callidiopini
Gelonaetha hirta (Fairmaire, 1850)
female

Distribution:
Sri Lanka, India, Myanmar, Thailand, Cambodia, Laos, Vietnam, China, Taiwan, Korea, Japan, Philippines. Introduced in Micronesia, French Polynesia and Hawaii