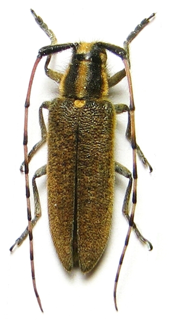
Agapanthia (Epoptes) cretica Lamiinae  Agapanthiini
Agapanthia (Epoptes) cretica Bernhauer, 1978
female

Distribution:
Greece (Crete)