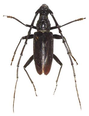
|   | Cerambycinae  Cerambycini Hoplocerambyx spinicornis (Newman, 1842) male Distribution: s Afghanistan, Pakistan, Nepal, n India, Bhutan, Myanmar, Thailand, Laos, Malaysia, Singapore, Borneo, Indonesia (Sumatra, Java), Philippines (Mindanao, Luzon, Benguet, Negros) |