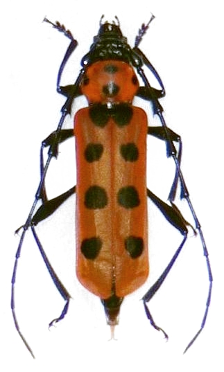
Eurybatus (Eurybatus) ferriei Cerambycinae  Compsocerini
Eurybatus (Eurybatus) ferriei (Vuillet, 1911)
female

Distribution:
Japan (Ryukyu: Amami-Ôshima)