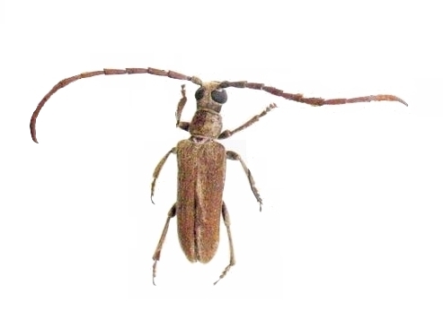
Philus antennatus Vesperidae  Philini
Philus antennatus (Gyllenhal, 1817)
male, China

Distribution:
China, Hainan, Taiwan