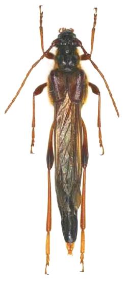
Necydalis (Necydalis) major aino Lepturinae  Necydaliini
Necydalis (Necydalis) major aino Kusama, 1975
female, Japan

Distribution:
ne Russia (Sakhalin, Kurili), Japan