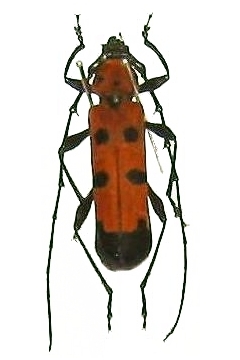
Eurybatus (Eurybatus) borneensis Cerambycinae  Compsocerini
Eurybatus (Eurybatus) borneensis Rothschild & Jordan, 1893
male, Borneo

Distribution:
Borneo