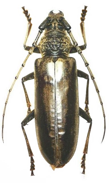
Nadezhdiella japonica Cerambycinae  Cerambycini
Nadezhdiella japonica Hayashi, 1972
female

Distribution:
Japan (Ryukyu: Ishigaki, Iriomote)