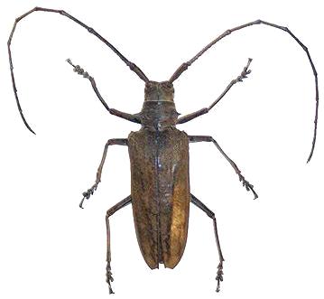
Batocera inconspicua Lamiinae  Batocerini
Batocera inconspicua Van der Poll, 1890
typical form, female, New Guinea

Distribution:
Papua New Guinea, Solomon Islands (Buka, Bougainville, Kilimbangara, Guadalcanal, Malaita, Makira)