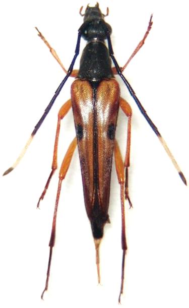
Pygostrangalia longicornis Lepturinae  Lepturini
Pygostrangalia longicornis (Gressitt, 1934)
female

Distribution:
China, Japan (Ryukyu: Amami-Ôshima)