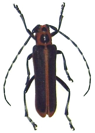
Cagosima sanguinolenta Lamiinae  Saperdini
Cagosima sanguinolenta Thomson, 1864
male, Japan

Distribution:
e Russia (Sakhalin), Japan, China (Taiwan)