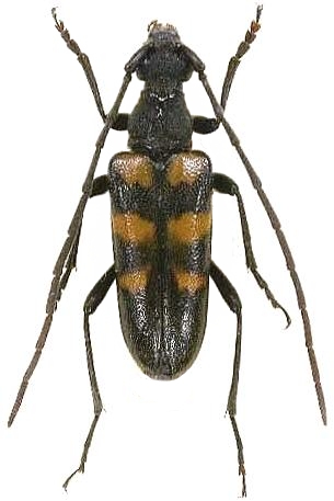
Munamizoa maculata Lepturinae  Lepturini
Munamizoa maculata (Matsushita & Tamanuki, 1935)
male, Japan

Distribution:
Japan