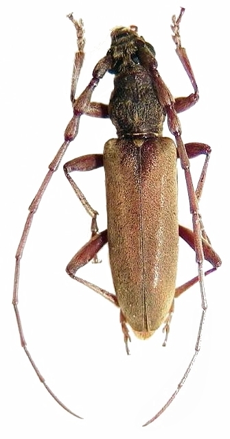
Margites fulvidus Cerambycinae  Cerambycini
Margites fulvidus (Pascoe, 1858)
male, Japan

Distribution:
Korea, s China, Taiwan, Ryukyu (Amami-Ôshima, Okinawa), Japan