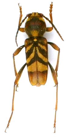
Xylotrechus chinensis Cerambycinae  Clytini
Xylotrechus chinensis (Chevrolat, 1852)
male, Japan

Distribution:
Korea, China, Taiwan, Japan (Hokkaido, Honshu, Shikoku, Kyushu, Ryukyu: Sado, Miyake, Kôzu, Mikura, Awa, Awaji, Tsu, Amami, Tokuno, Okinawa)