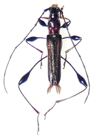
Artimpaza setigera japonica Cerambycinae  Sestyrini
Artimpaza setigera japonica (Pic, 1928)


Distribution:
Japan (Kyushu, Yakushima), Ryukyu (Amami-Ôshima)