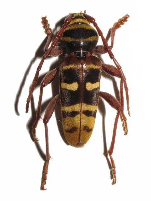
Plagionotus (Plagionotus) detritus Cerambycinae  Clytini
Plagionotus (Plagionotus) detritus (von Linné, 1758)
male, Czech Republic

Distribution:
n Portugal, n Spain, France, Holland, Belgium, Switzerland, Italy, Germany, Austria, s Sweden, Poland, Czech Rep., Slovakia, Hungary, Slovenia, Croatia, Serbia, Albania, Romania, Bulgaria, Greece, w Russia