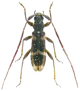
Tengius kurosawai Disteniidae  Disteniini
Tengius kurosawai Makihara, 1986
male

Distribution:
Japan