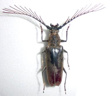
Cyriopalus wallacei Cerambycinae  Cerambycini
Cyriopalus wallacei Pascoe, 1869
male, Malaysia

Distribution:
Myanmar, Thailand, Laos, Malaysia, Borneo