Author |
Topic  |
|
tcaudal
Member Nathrius
France
6 Posts |
Posted - 20/10/2025 : 22:40:15
|
 494.5 KB
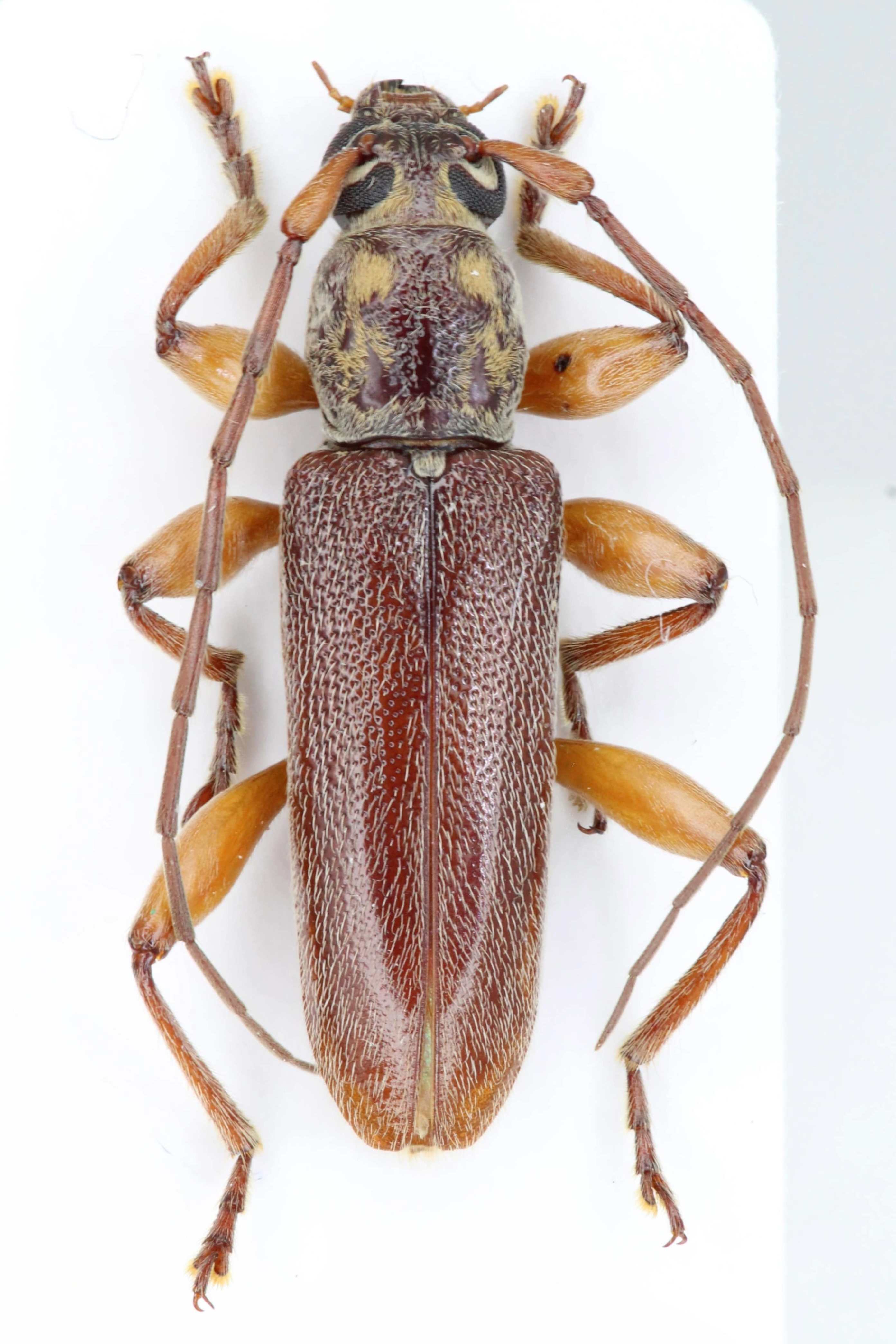
Un Ceresium venu aux lumières La Réunion, Saint-Leu, "Le Cardinal des Grands Bleus", II.2025 Je ne comprends pas les synonymies ou non entre flavipes et unicolor. Lequel est le bon taxon, ou si les deux sont bons, quelle espèce se trouve à la Reunion?
|
Edited by - Xavier on 21/10/2025 10:07:00 |
|
Xavier
Scientific Collaborator
    
France
12499 Posts |
Posted - 21/10/2025 : 09:30:57
|
Des réponses ici peuvent t'intéresser. En suivant Francesco, avec la pilosité du pronotum moins dense que Ceresium flavipes (Fabricius, 1793), l'espèce de la Réunion devrait être Ceresium unicolor (Fabricius, 1787). |
Edited by - Xavier on 21/10/2025 09:57:30 |
 |
|
tcaudal
Member Nathrius
France
6 Posts |
Posted - 21/10/2025 : 09:53:40
|
Merci Xavier! Si je comprends bien, ce serait plutôt unicolor à la Réunion. Si je me réfère aussi à ce post, vu la pilosité bien moins fournie de mon spécimen comparé à ton flavipes en fin de post, ça correspondrait bien aussi à unicolor |
 |
|
Xavier
Scientific Collaborator
    
France
12499 Posts |
Posted - 21/10/2025 : 10:04:33
|
Oui, exactement ! J'ajoute ici un spécimen (femelle) de la Réunion:
 471.64 KB. Sans plus d'informations, je le détermine comme Ceresium unicolor (Fabricius, 1787).
|
Edited by - Xavier on 21/10/2025 10:09:24 |
 |
|
|
Topic  |
|