| Author |
Topic  |
|
|
Xavier
Scientific Collaborator
    
France
12551 Posts |
Posted - 22/12/2012 : 11:05:15
|

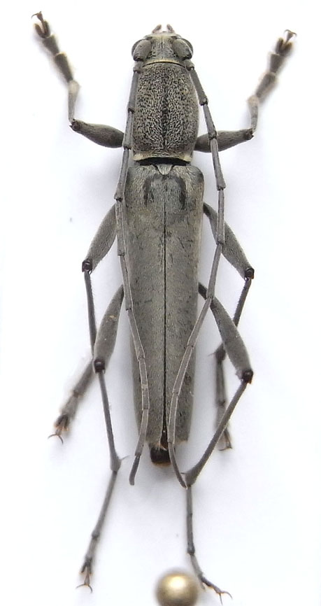
13 mm. Hua Phan, nord Laos. Rhaphuma probablement, mais qui reste sans nom. Toute aide est la bienvenue  |
Edited by - Xavier on 29/11/2016 15:41:11 |
|
|
Xavier
Scientific Collaborator
    
France
12551 Posts |
Posted - 12/12/2013 : 11:19:14
|
L'apex de premiers segments antennaires est en forme de dent obtuse. Je place donc cette espèce dans le genre Demonax. |
 |
|
|
Francesco
Forum Admin
    
Luxembourg
9694 Posts |
Posted - 14/12/2013 : 09:14:58
|
| Tout à fait: elle est une espèce du groupe du notabilis. |
 |
|
|
Xavier
Scientific Collaborator
    
France
12551 Posts |
Posted - 21/10/2014 : 15:47:18
|
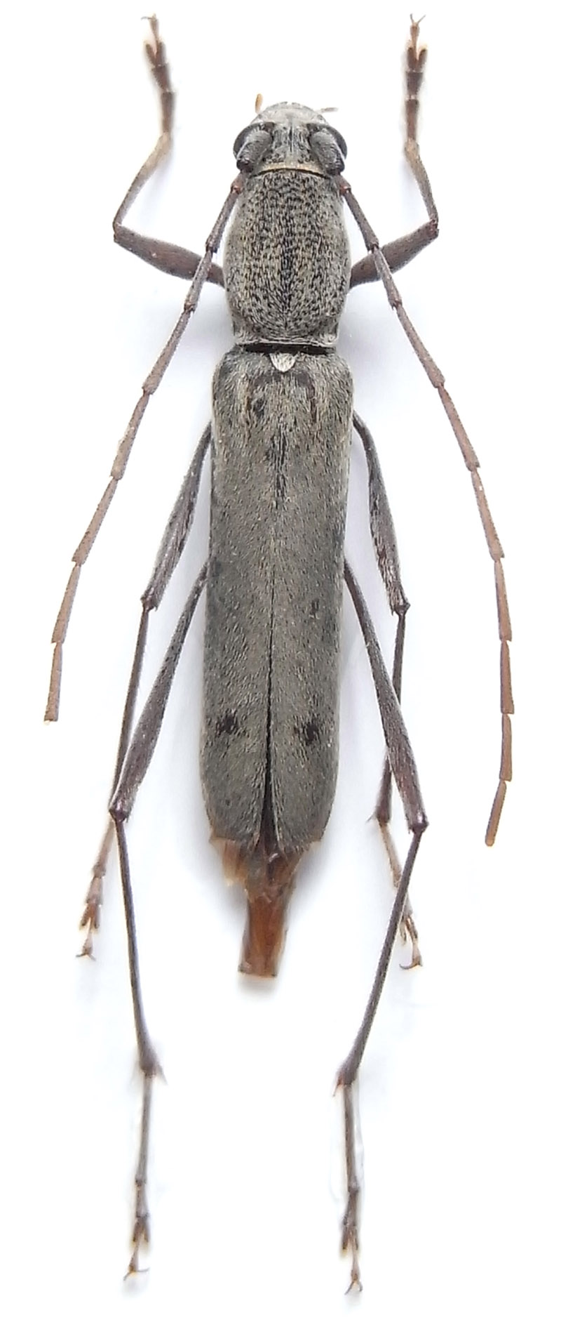
11 mm. Femelle, même localité. |
Edited by - Xavier on 18/02/2016 16:40:06 |
 |
|
|
Xavier
Scientific Collaborator
    
France
12551 Posts |
Posted - 18/02/2016 : 16:37:54
|
 84.89 KB mâle
 PIC M., 1920. Longicornes nouveaux de Chine
Il est très possible que cette espèce soit Demonax spinifer Pic, 1920. Le caractère de la longueur des antennes ne me semble pas valable, vu que Pic n'indique pas le sexe du type. Les fémurs postérieurs sont effectivement dentés à l'apex, etc. Je conserve cette détermination, en attendant de la confirmer en retrouvant l'holotype au MNHN. |
Edited by - Xavier on 18/02/2016 16:39:13 |
 |
|
|
Xavier
Scientific Collaborator
    
France
12551 Posts |
Posted - 08/05/2016 : 11:15:34
|
| les tibias postérieurs dépassent largement l'apex des élytres,...Le dessin en U inversé est trop caractéristique pour pas avoir été mentionné; ce n'est pas D. spinifer ni aucune autre espèce que je connaisse. |
Edited by - Xavier on 08/05/2016 11:17:42 |
 |
|
|
Xavier
Scientific Collaborator
    
France
12551 Posts |
Posted - 08/05/2016 : 12:54:24
|
Bon, c'est bien une nouvelle espèce. Holzschuh travaillerait dessus.... |
 |
|
|
Xavier
Scientific Collaborator
    
France
12551 Posts |
Posted - 29/11/2016 : 15:40:38
|
| Ces deux spécimens sont des paratypes de Demonax carinulatus Holzschuh, 2016. |
 |
|
| |
Topic  |
|