| 
                 Xavier 
                Scientific Collaborator 
                      
                 
                
                France 
                12519 Posts  | 
                
                  
                    
                      
                       Posted - 11/07/2014 :  18:27:21
                        
                        
                        
                      
  | 
                     
                    
                         
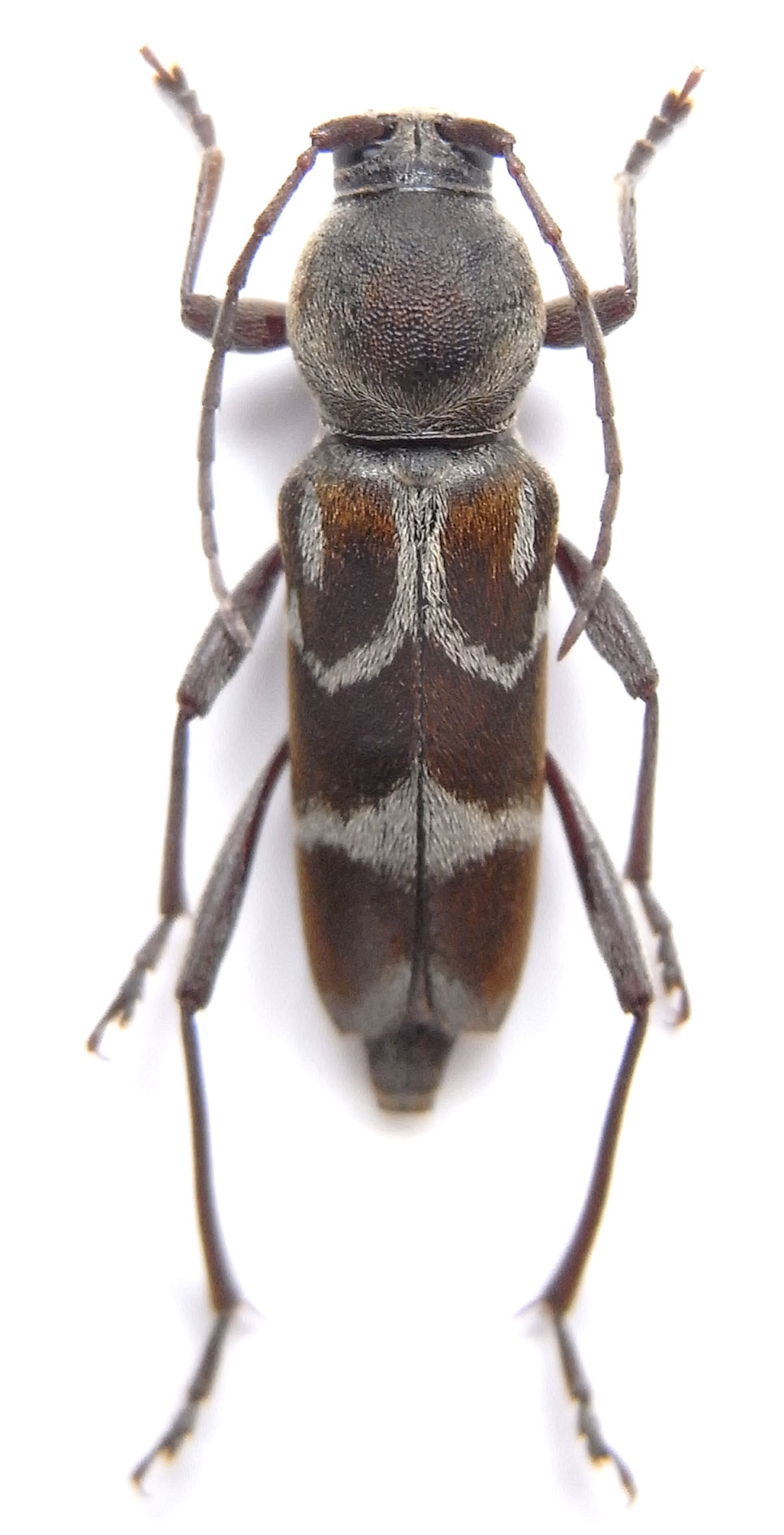
  10 mm. Hua Phan Prov., north-east Laos.  For Petr V. (thanks a lot  ), it should be Chlorophorus strobilicola Champion, 1919, species known from north India and "invasive" in U.S.A. Numerous pictures on the web. | 
                     
                    
                       Edited by - Xavier on 29/11/2016  16:25:26 | 
                     
                   
                 |