Author |
Topic  |
|
znort
Member Rosalia
  
France
504 Posts |
Posted - 01/01/2013 : 16:07:49
|
 454.76 KB
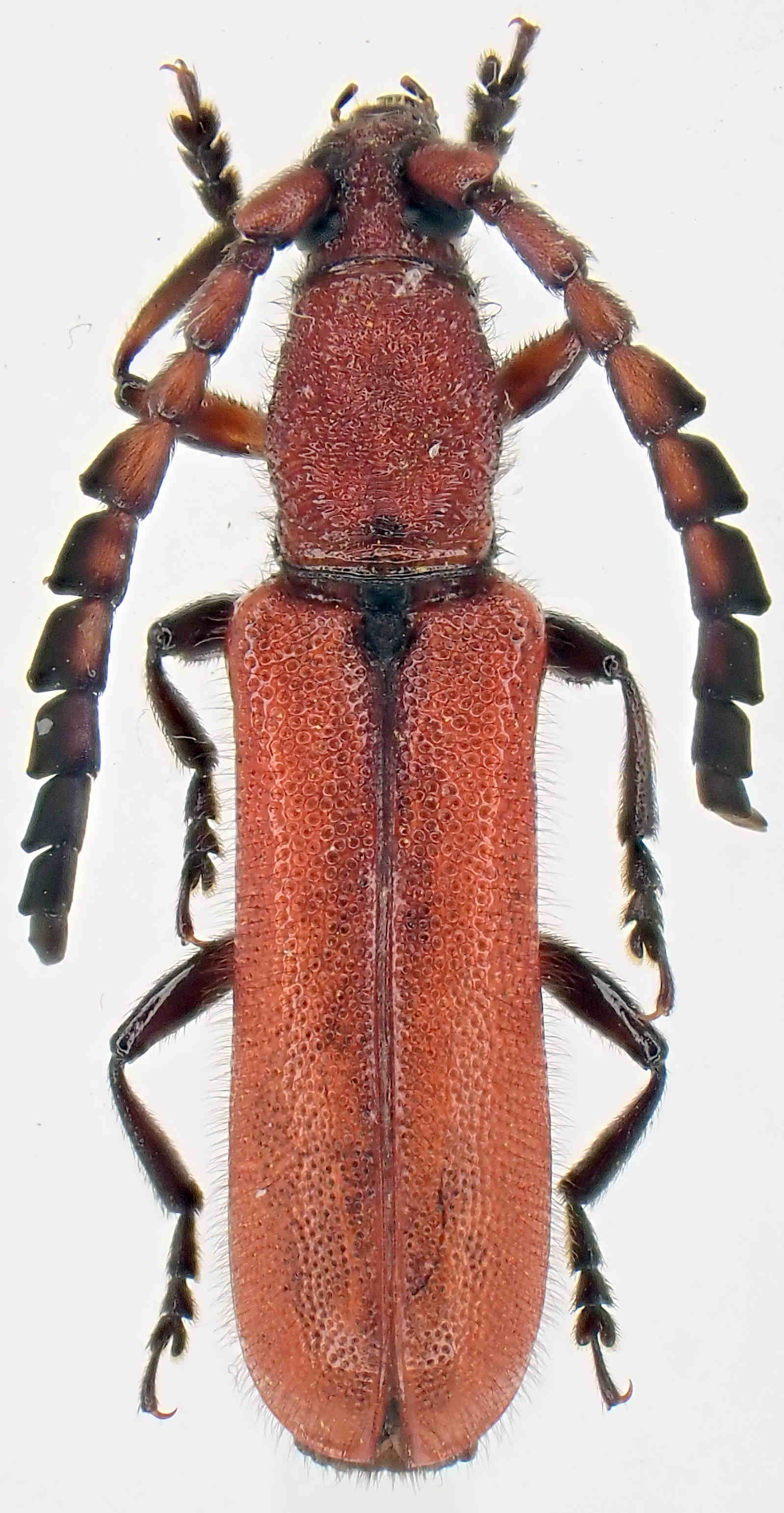
A Pyrestes from Taiwan Chienshin. Mt Lang Shan 14/4/2002 15 mm.
I think it's Pyrestes curtirostris |
Chinese Cerambycidae |
Edited by - Xavier on 08/08/2024 10:21:14 |
|
Francesco
Forum Admin
    
Luxembourg
9602 Posts |
Posted - 05/01/2013 : 22:39:51
|
Avec ces antennes bicolores, il s'agit plutôt de Pyrestes haematicus Pascoe, 1857. |
 |
|
znort
Member Rosalia
  
France
504 Posts |
Posted - 06/01/2013 : 14:30:28
|
Francesco, dans la clé de Gressitt (Longicornia) haematica à l'épaule imponctuée ce qui n'est pas le cas ici. De plus, je ne trouve pas ce critère de l'antenne bicolore mais Gressitt stipule antennes et pattes rougeatres pour haematica. |
Chinese Cerambycidae |
Edited by - znort on 06/01/2013 15:46:54 |
 |
|
Francesco
Forum Admin
    
Luxembourg
9602 Posts |
Posted - 06/01/2013 : 15:55:42
|
Je suis arrivé à ce nom avec la clé de Plavilstshikov (1932) qui donnait ce caractère seulement à P. cardinalis Pascoe. Selon Gressitt (1951) ça devrait être un synonyme de P. haematicus... en tout cas, je crois que les autres espèces de Formose ont les antennes noires. |
 |
|
znort
Member Rosalia
  
France
504 Posts |
Posted - 06/01/2013 : 16:38:17
|
Le Löbl & Smetana mentionne seulement trois espèces données présentes à Taïwan, longicollis, haematica et curtirostris. Je veux bien vous poster ce que je pense comme étant haematicus avec un humerus bien lisse, mon second Pyrestes de Taïwan semblant être longicollis. Ça devrait nous permettre d'avancer sur ce genre finalement assez complexe. On avait pas mal potassé le sujet sur ceux de Xavier mais la faune laotienne... c'est encore plus difficile |
Chinese Cerambycidae |
 |
|
cerambyphil
Member Rosalia
  
France
676 Posts |
Posted - 24/05/2013 : 19:05:39
|
Salut Olivier, D'après "The Atlas of Taiwanese Cerambycidae (second edition)" de Chou, W. I. 2008,il n'y aurait que 2 espèces de Pyrestes à Taiwan. Voici l'extrait de l'atlas concernant ce genre (écrit en Chinois, tu auras moins de mal que moi à le traduire )
 470.82 KB |
 |
|
Francesco
Forum Admin
    
Luxembourg
9602 Posts |
Posted - 24/05/2013 : 22:20:28
|
En effet toutes ces espèces ont été révisées par Hayashi (1987, PDF après demande). Pyrestes haematicus Pascoe, 1857 est une espèce de la Chine Boréale, avec une forme (sous-espèce?) en Corée. La citation pour Formose et le Japon est une faute de Plavilstshikov (1932), répété par Gressitt (1951) et ensuite Hua (2002), où cette espèce doit être référée (respectivement) à P. curticornis et P. nipponicus.
De toute façon la description de P. curticornis Pic était assez, quand-même... incomplète : "Elongatus, niger, thorace supra elytrisque rufis. Long. 13 mm. Formose. En outre de la coloration un peu differente, diffère du précédent [P. forticornis] par les antennes plus courtes." |
 |
|
znort
Member Rosalia
  
France
504 Posts |
Posted - 31/05/2013 : 00:19:45
|
Merci Philippe, je pense que ca confirme la détermination. Ca a une bonne tête de longicollis et pour moi haematicus est franchement différent promis je le poste bientôt. |
Chinese Cerambycidae |
 |
|
Xavier
Scientific Collaborator
    
France
12495 Posts |
Posted - 08/08/2024 : 10:20:51
|
Pyrestes curticornis Pic, 1923 |
 |
|
Gerard
Scientific Collaborator
    
France
5438 Posts |
Posted - 30/09/2025 : 18:17:52
|
 
Un couple de Taiwan |
 |
|
|
Topic  |
|