Gerard
Scientific Collaborator
    
France
5438 Posts |
Posted - 29/09/2025 : 18:43:26
|
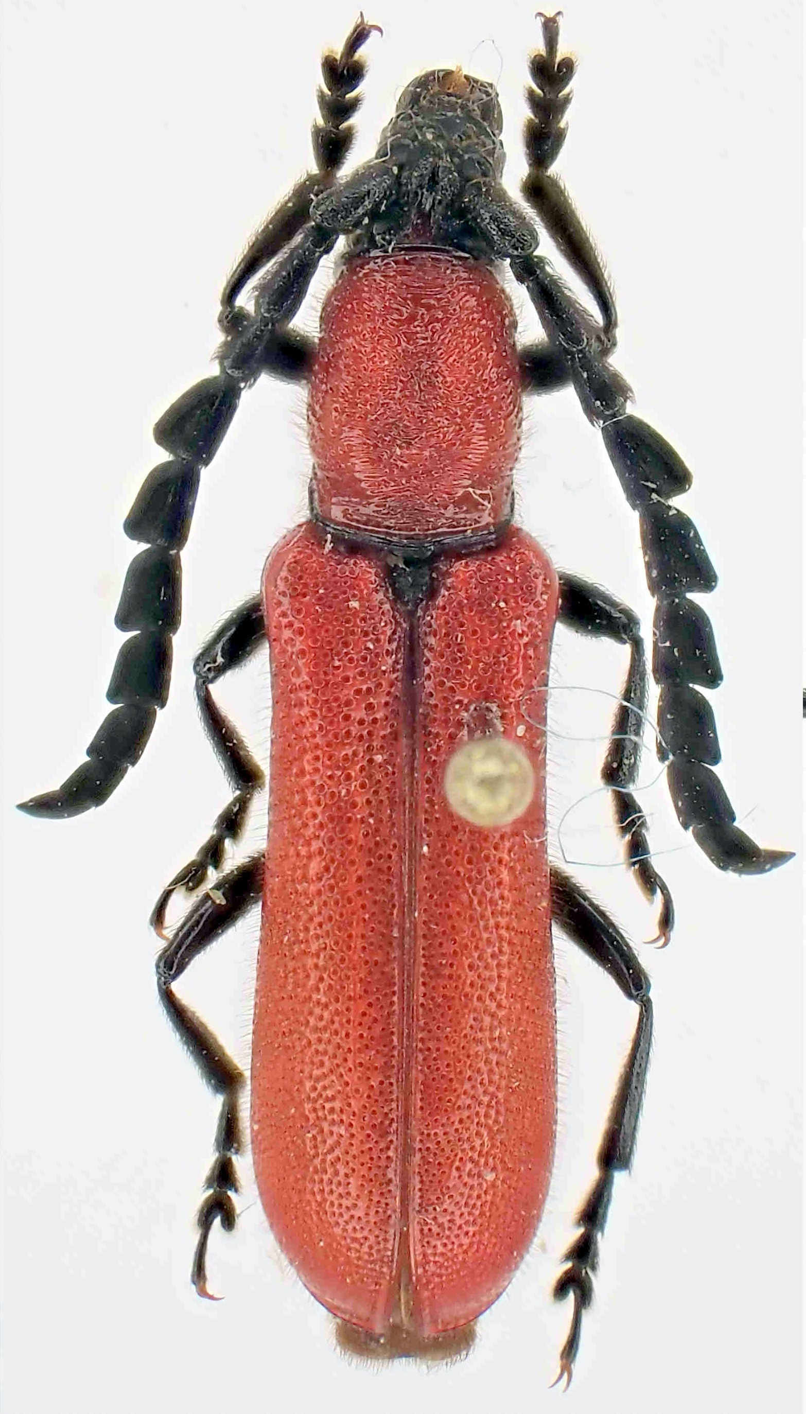
je ne suis sur que ce soit un male de la bête précédentes.
 354.86 KB
J'ai la clé de Gressitt 1951, mais il manque dans cette clé longicollis PIC. Trois espèces ont été décrit de Taiwan: Pyrestes curticornis Pic 1923 Pyrestes haematicus Pascoe 1857 Pyrestes longicollis Pic 1953 ce que je trouve étrange, Pic a décrit longicollis sans le comparer a curticollis autre espece que Pic a decrit en 1923. |
 |
|