Cerambycoidea Forum
Cerambycoidea Forum
Home | Profile | Register | Active Topics | Members | Search | FAQ
Username:
Password:
Save Password
Forgot your Password?

 All Forums
 Cerambycidae Lamiinae
 Eunidiini
 Tanzania, Eunidia: marmorea?
 New Topic  Reply to Topic
 Send Topic to a Friend
 Printer Friendly
| More
Author Previous Topic Topic Next Topic  

Littlebeetle23
Member Purpuricenus

France
296 Posts

Posted - 28/10/2014 :  19:37:18  Show Profile  Email Poster  Reply with Quote

227.23 KB

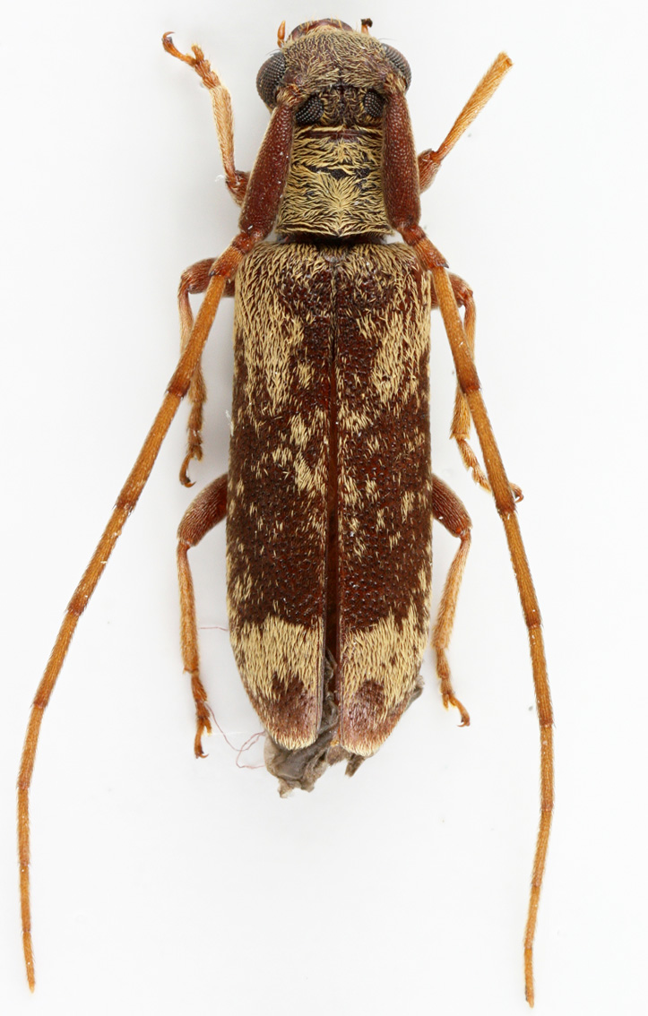
Another specimen of Eunidia from Tanzania, Rungwa NP.
Size = 6.9 mm

Jérôme Sudre
Member Rosenbergia

France
1823 Posts

Posted - 23/05/2015 :  08:47:50  Show Profile  Email Poster  Reply with Quote
M'a l'air d'être une forme de Eunidia marmorea Fairmaire ?
Qu'en penses tu?
Go to Top of Page

Carlo
Member Rosenbergia

Italy
1138 Posts

Posted - 23/05/2015 :  15:02:43  Show Profile  Email Poster  Reply with Quote
Oui Jerome, je pense que tu as raison...... decrite avec cinq noms differents par Breuning entre le 1952 et le 1982
Go to Top of Page
  Previous Topic Topic Next Topic  
 New Topic  Reply to Topic
 Send Topic to a Friend
 Printer Friendly
| More
Jump To:
Cerambycoidea Forum © 2000-08 Snitz Communications Go To Top Of Page
Powered By: Snitz Forums 2000 Version 3.4.07