Cerambycoidea Forum
Cerambycoidea Forum
Home | Profile | Register | Active Topics | Members | Search | FAQ
Username:
Password:
Save Password
Forgot your Password?

 All Forums
 Cerambycidae Lamiinae
 Eunidiini
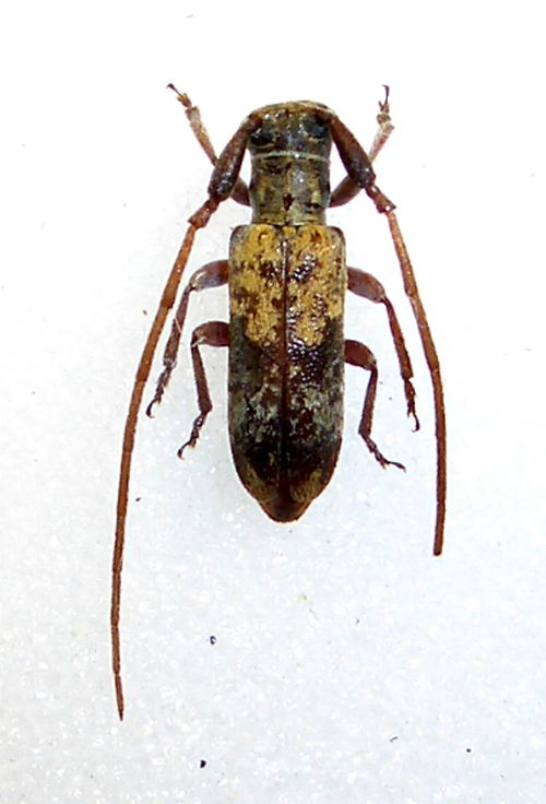
 Mozambique: Eunidia subtergrisea
 New Topic  Reply to Topic
 Send Topic to a Friend
 Printer Friendly
| More
Author Previous Topic Topic Next Topic  

Sergi
Member Rosenbergia

Spain
1793 Posts

Posted - 03/05/2015 :  09:59:04  Show Profile  Email Poster  Reply with Quote

213.97 KB

From Mozambique.
Size: 7 mm

Carlo
Member Rosenbergia

Italy
1138 Posts

Posted - 03/05/2015 :  10:27:31  Show Profile  Email Poster  Reply with Quote
Surely Eunidia, maybe subtergrisea Thomson, 1868
Go to Top of Page

Jérôme Sudre
Member Rosenbergia

France
1823 Posts

Posted - 03/05/2015 :  18:51:06  Show Profile  Email Poster  Reply with Quote
Oui cela semble bien E subtergrisea Thomson
Go to Top of Page
  Previous Topic Topic Next Topic  
 New Topic  Reply to Topic
 Send Topic to a Friend
 Printer Friendly
| More
Jump To:
Cerambycoidea Forum © 2000-08 Snitz Communications Go To Top Of Page
Powered By: Snitz Forums 2000 Version 3.4.07